Lake Homes Realty
Enter City, Zip or MLS
Waterfront

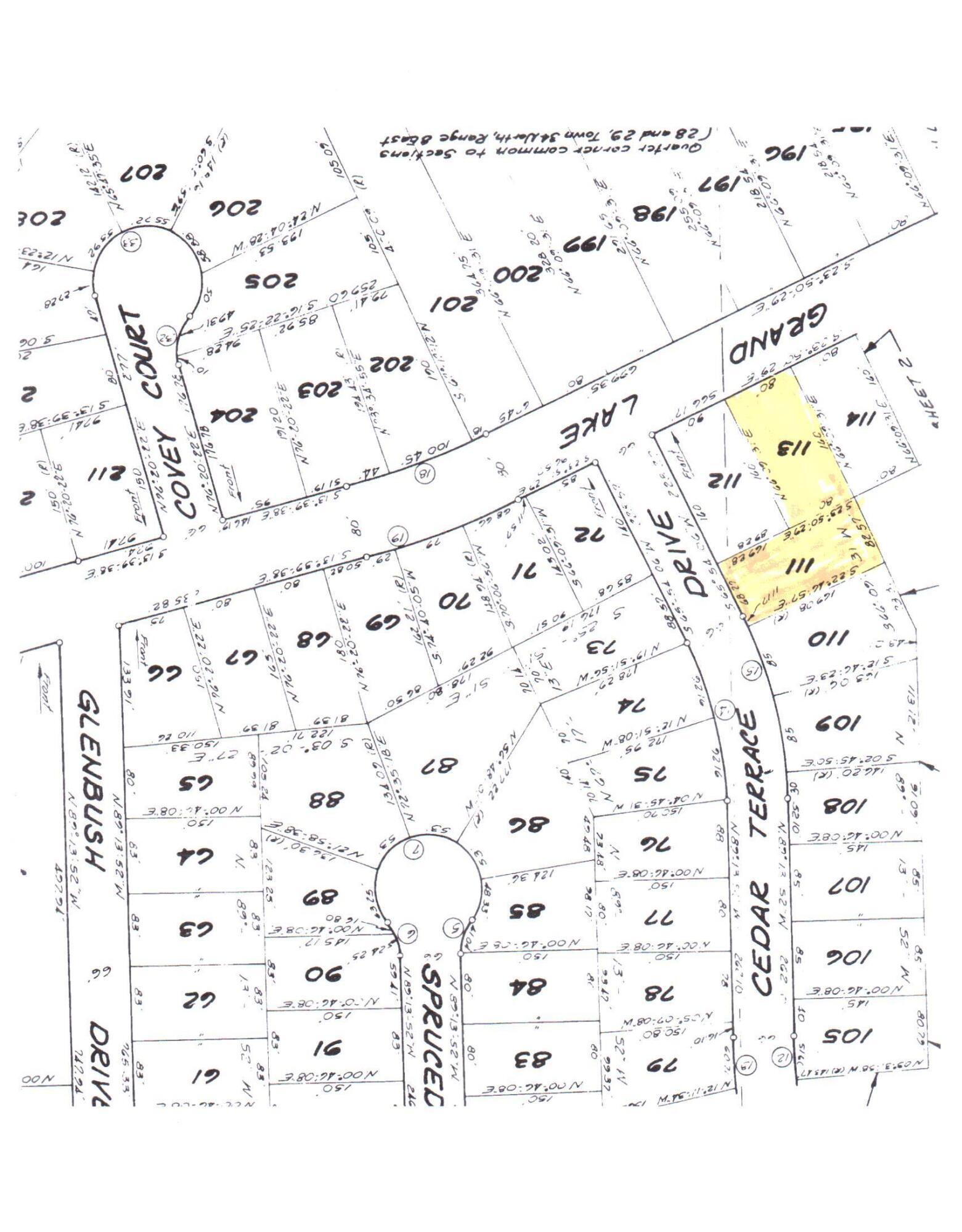
l 113&111 cedar terrace road

Presque Isle, MI 49777

$4,000

Land - Lot
Waterfront
Image 1: Bartell 3
Image 2: Plat
Image 3: Bartell 1
Image 4: Bartell 2
Status Active
MLS # 201837609
County Presque Isle
More Info
Category Land - Lot
Status Active
MLS # 201837609
County Presque Isle
Two adjoining lots with in the Presque Isle Association. Located on paved roads and has municipal water. Electric nearby. Included use of the clubhouse, parks and boat launches.
Location not available

Exterior Features

  • Construction Single Family
  • Garage No
  • Sewer No Septic

Neighborhood & Schools

  • Subdivision Esau Terrace
  • School Disrict Alpena

Financial Information

  • Parcel ID 122-115-000-111-00 & 113-00

Additional Services

Internet Service Providers

Listing Information

Listing Provided Courtesy of State Wide Real Estate of Hawks
Copyright 2026, Water Wonderland MLS. All information provided is deemed reliable but is not guaranteed and should be independently verified.
Listing data is current as of 01/30/2026.

Contact Our Agent

By clicking “Submit”, you agree that Lake Homes Realty, its affiliates, and real estate professionals may contact you by phone, text, or email to any phone number and email address you provided, including by automated means, even if your number is on a federal, state, or our internal Do Not Call list. You also agree to our Terms of Use and Privacy Policy.