Lake Homes Realty
Enter City, Zip or MLS

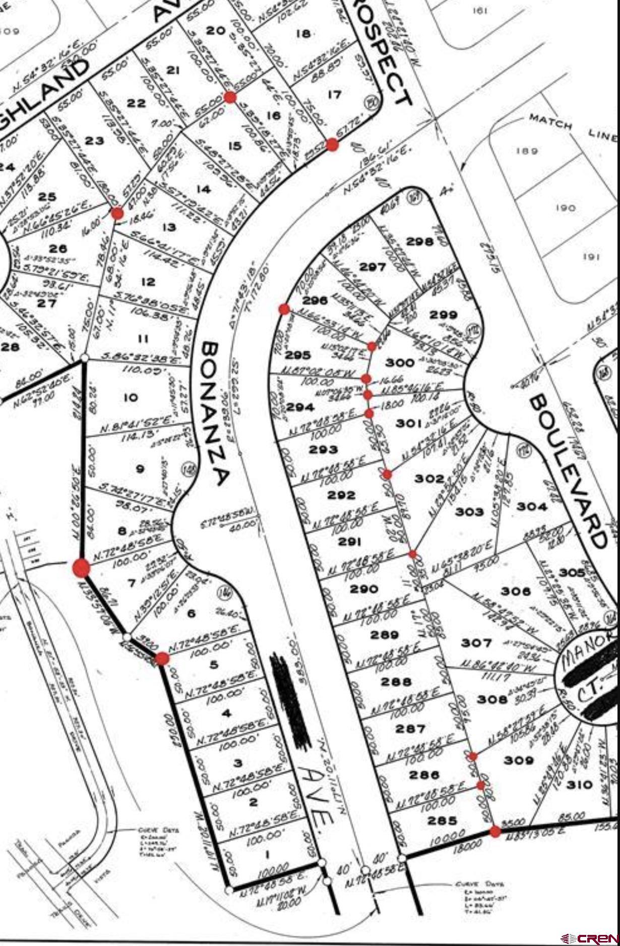
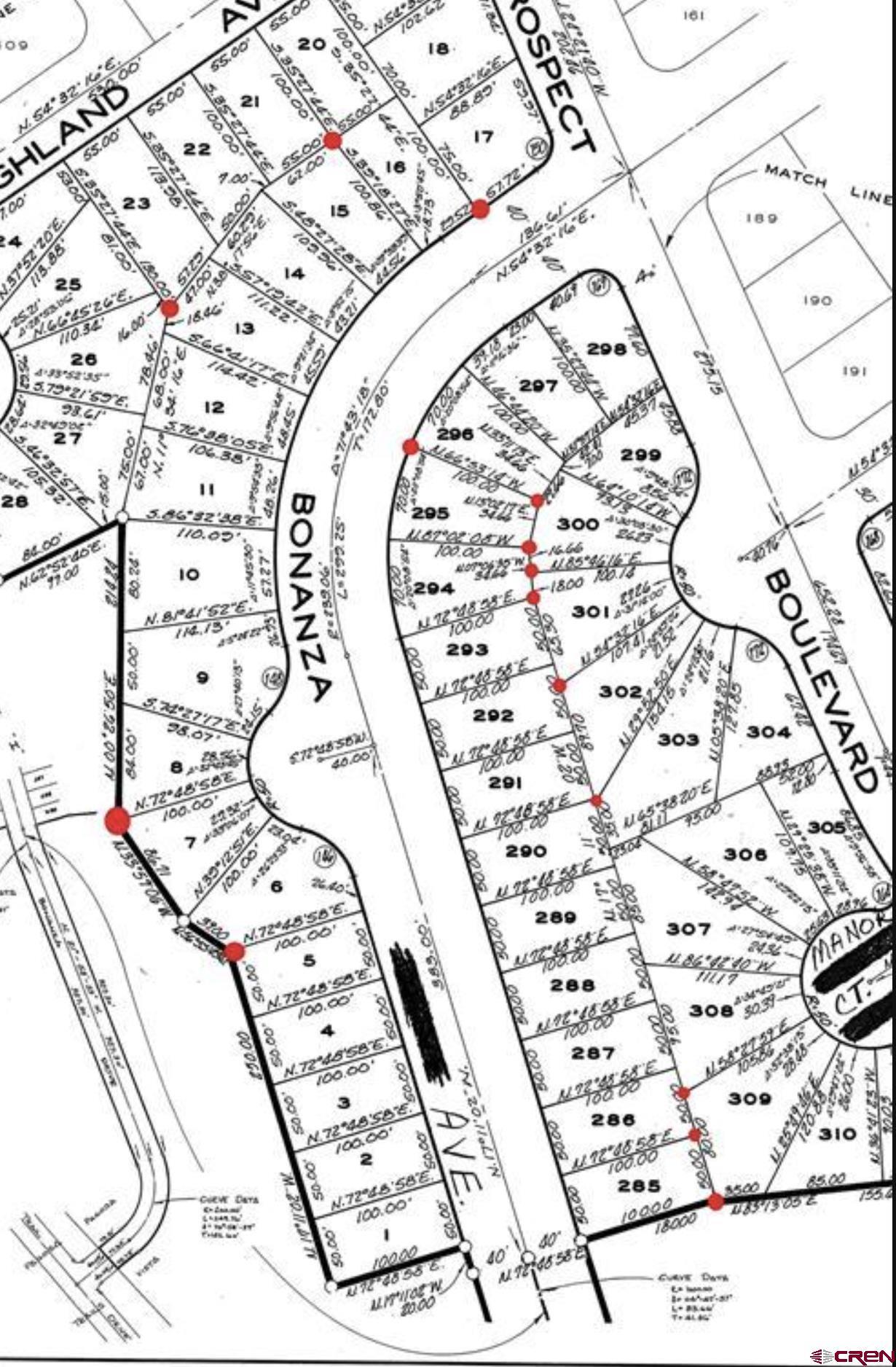
478 & 445 bonanza avenue

Pagosa Springs, CO 81147

$500,000

4.42 AC LOT
Land - Residential
Image 1
Image 2
Image 3
Image 4
Acreage 4.43
Status Active
MLS # 826862
County Archuleta
More Info
Category Land - Residential
Status Active
Acreage 4.43
MLS # 826862
County Archuleta
Explore the Potential for Easy Owner Financing Available to Purchase this Prime Development Opportunity in the Pagosa Lakes! Close Conveniences, Year Round County Maintained Roads, Beautiful Trees, Mountain Views, and Bordered by over 110 ares of Green Space! Be a hero to many with the potential for 27+- home sites as the original plat reflects with a raw cost breakdown of just under $19k per lot. Central water, sewer, and natural gas for this development is available through line extensions, and electric already runs along the back side of the East side parcel. The multiple lots have been condensed into two parcels for optimal holding costs during the planning phase. This is the ideal location to provide more affordable housing solutions for those that work each day to help this fantastic community of Pagosa Springs continue to grow and thrive. Archuleta County, PLPOA and the Utility Providers (PAWSD, LPEA and Black Hills) are eager to do their part in making this vision a reality. Pagosa is celebrated as being in one of the top 10 best mountain towns to live with Wolf Creek ski area, the world's deepest hot springs, 2.8 million acres of big game and wildlife filled national forest and free flowing fish rich live waters. Being a property owner in the PLPOA isn't without its perks...Access to the fully staffed Rec center, lakes, forest gates, bike paths and Wyndam activities with golf course close by too. Buyer to complete their own due diligence.
Location not available

Exterior Features

  • Construction Single Family
  • Garage No
  • Water Tap Available
  • Sewer Sewer Tap Available
  • Lot Description Cleared, Wooded Lot, Adj to Greenbelt, Adj to Open Space, Fishing Rights

Neighborhood & Schools

  • Subdivision Pagosa Vista - 03 Cnty Code 00457
  • Elementary School Pagosa Springs K-4
  • Middle School Pagosa Springs 5-8
  • High School Pagosa Springs 9-12

Financial Information

  • Parcel ID 569919309075
  • Zoning Residential Single Family

Additional Services

Internet Service Providers

Listing Information

Listing Provided Courtesy of Galles Properties
Listing Agent Kimberly Brown
The data for this listing came from the Colorado Real Estate Network, CO MLS.
The data relating to real estate for sale on this web site comes in part from the Internet Data Exchange (IDX) program of Colorado Real Estate Network, Inc. (CREN), © Copyright 2025. All rights reserved. All data deemed reliable but not guaranteed and should be independently verified. This database record is provided subject to “limited license” rights. Duplication or reproduction is prohibited. crenmls.com/full-cren-disclaimer-2
PUBLISHERS NOTICE: All information is deemed reliable but is not guaranteed and should be independently verified. All real estate advertised herein is subject to the US Federal Fair Housing Act of 1968 and the Colorado Fair Housing Act, which makes it illegal to make or publish any advertisement that indicates any preference, limitation, or discrimination based on race, color, religion, sex, handicap, familial status, or national origin. Please check with your local government agency for more information.
Listing data is current as of 04/04/2026.

Contact Our Agent

By clicking “Submit”, you agree that Lake Homes Realty, its affiliates, and real estate professionals may contact you by phone, text, or email to any phone number and email address you provided, including by automated means, even if your number is on a federal, state, or our internal Do Not Call list. You also agree to our Terms of Use and Privacy Policy.