Lake Homes Realty
Enter City or Zip
New Listing

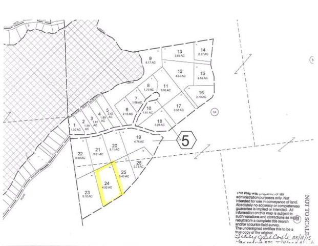
lot 24 stevens landing

Ausable Forks, NY 12912

$42,500

4.53 AC LOT
Land - Unimproved Land
New Listing
Image 1: Main View
Acreage 4.53
Status Pending
MLS # 156909
County Clinton
More Info
Category Land - Unimproved Land
Status Pending
Acreage 4.53
MLS # 156909
County Clinton
Stevens landing is a 26 lot subdivision situated on the Northeast end of Fern Lake. The subdivision consists of 5 lake front parcels, 8 lake view parcels and 13 over sized wooded lots. All lots in the subdivision are shovel ready, APA approved,have access to an association beach that features approximately 1,000' on Fern Lake and a sandy beach. Stevens Landing borders the Palmer Brook Sportsman Club that consists of 5,000 acres for members to fish, hunt, snowmobile, ATV or just enjoy nature at its best. Stevens Landing is ideally located only 30 minutes to Plattsburgh and 15 minutes from Whiteface Mountain. This is an amazing location to build your primary or vacation dream home.
Location not available

Exterior Features

  • Construction Single Family
  • Garage No
  • Water Well Needed
  • Sewer Septic Tank
  • Lot Description Cleared, Few Trees, Level, Views, Wooded, Mountain

Neighborhood & Schools

  • Subdivision Steven's Landing

Financial Information

  • Parcel ID 322.-5-24
  • Zoning Residential

Additional Services

Internet Service Providers

Listing Information

Listing Provided Courtesy of Fesette Realty, LLC
The data for this listing came from the Adirondack-Champlain Valley MLS, NY.
Listing data is current as of 12/16/2025.

Contact Our Agent

By clicking “Submit”, you agree that Lake Homes Realty, its affiliates, and real estate professionals may contact you by phone, text, or email to any phone number and email address you provided, including by automated means, even if your number is on a federal, state, or our internal Do Not Call list. You also agree to our Terms of Use and Privacy Policy.