Lake Homes Realty
Enter City, Zip or MLS

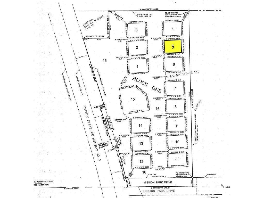
13084 mission park drive - #5

Merrifield, MN 56465

$60,000

0.07 AC LOT
land
Image 1
Image 2
Image 3
Image 4
Acreage 0.07
Status Active
MLS # 6634414
County Crow Wing
More Info
Category land
Status Active
Acreage 0.07
MLS # 6634414
County Crow Wing
Listed By: Listing Agent Bruce K. Larson
Larson Group Real Estate/Kelle - (218) 692-6920
Check out the new Sportsmans Storage Development that is located in Merrifield at the site of the old Sportsman Store on County Road 3. Lot size is 48’ x 64’. All building widths to be 48’ and built to the front lot line facing the access drive. Minimum building size 48’ x 48’.  Maximum building size 48’ x 64’. Required structure colors - see covenants. Sidewall height - 16’. Overhead door height - 14’ - 18' (width and number of overhead doors are owner's choice). Service door detail - see covenants. Windows - owner’s choice. The burnished brown with black trim is the required color. All units will match the color. The two 18’ doors are only an option, not required. Exterior lighting – all lighting to be downward. The apron is required to be a minimum of 4’ into the common area to a maximum of 18' so as not to obstruct the driveway. Outside storage – prohibited. Interior finish - owner's choice. Lots will be build-ready. Sportsmans Storage is conveniently close to Pelican Lake, Horseshoe Lake and other lakes in the Merrifield area.
Location not available

Exterior Features

  • Garage No
  • Lot Dimensions 48 x 64
  • Lot Description Underground Utilities

Neighborhood & Schools

  • Subdivision Sportsmans Storage

Financial Information

  • Parcel ID 77190705
  • Zoning Business/Commercial

Additional Services

Internet Service Providers

Listing Information

Listing Provided Courtesy of Larson Group Real Estate/Kelle - (218) 692-6920
Listings courtesy of the Northstar MLS as distributed by MLS GRID.

IDX information is provided exclusively for consumers’ personal noncommercial use, that it may not be used for any purpose other than to identify prospective properties consumers may be interestedin purchasing, that the data is deemed reliable but is not guaranteed by MLS GRID, and that the use of the MLS GRID Data may be subject to an end user license agreement prescribed by the Member Participant's applicable MLS if any and as amended from time to time. MLS GRID may, at its discretion, require use of other disclaimers as necessary to protect Member Participant, and/or their MLS from liability.

Based on information submitted to the MLS GRID as of 03/13/2026 04:21:40 UTC. All data is obtained from various sources and may not have been verified by broker or MLS GRID. Supplied Open House Information is subject to change without notice. All information should be independently reviewed and verified for accuracy. Properties may or may not be listed by the office/agent presenting the information.

The Digital Millennium Copyright Act of 1998, 17 U.S.C. § 512 (the "DMCA") provides recourse for copyright owners who believe that material appearing on the Internet infringes their rights under U.S. copyright law. If you believe in good faith that any content or material made available in connection with our website or services infringes your copyright, you (or your agent) may send us a notice requesting that the content or material be removed, or access to it blocked. Notices must be sent in writing by email to: DMCAnotice@MLSGrid.com.

The DMCA requires that your notice of alleged copyright infringement include the following information: (1) description of the copyrighted work that is the subject of claimed infringement; (2) description of the alleged infringing content and information sufficient to permit us to locate the content; (3) contact information for you, including your address, telephone number and email address; (4) a statement by you that you have a good faith belief that the content in the manner complained of is not authorized by the copyright owner, or its agent, or by the operation of any law; (5) a statement by you, signed under penalty of perjury, that the information in the notification is accurate and that you have the authority to enforce the copyrights that are claimed to be infringed; and (6) a physical or electronic signature of the copyright owner or a person authorized to act on the copyright owner’s behalf. Failure to include all of the above information may result in the delay of the processing of your complaint.

The data relating to real estate for sale on this web site comes in part from the Broker Reciprocity℠ Program of the Regional Multiple Listing Service of Minnesota, Inc. Real estate listings held by brokerage firms other than Lake Homes Realty are marked with the Broker Reciprocity℠ logo or the Broker Reciprocity℠ thumbnail logo (little black house) and detailed information about them includes the name of the listing brokers.
Copyright 2026 Regional Multiple Listing Service of Minnesota, Inc. All rights reserved. By searching Northstar MLS listings you agree to the Northstar MLS End User License Agreement.
Listing data is current as of 03/13/2026.

Contact Our Agent

By clicking “Submit”, you agree that Lake Homes Realty, its affiliates, and real estate professionals may contact you by phone, text, or email to any phone number and email address you provided, including by automated means, even if your number is on a federal, state, or our internal Do Not Call list. You also agree to our Terms of Use and Privacy Policy.