Lake Homes Realty
Enter City, Zip or MLS

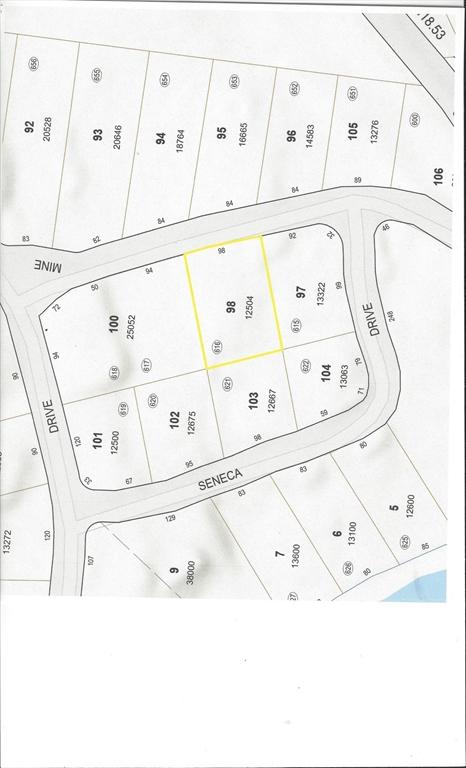
98 gold mine rd

Ashburnham, MA 01430

$45,000

0.28 AC LOT
Land - Residential
Image 1
Acreage 0.29
Status Active
MLS # 73464817
County Worcester
More Info
Category Land - Residential
Status Active
Acreage 0.29
MLS # 73464817
County Worcester
A nice flat lot that has already been cleared, a moment away from Sunset Lake with lake access through membership to the Far Hills Association. Lot currenty approved for 3-season living but owner can apply for year-round access. Buyer to do due diligence.
Location not available

Exterior Features

  • Construction Single Family
  • Garage No
  • Water Other
  • Sewer Private Sewer
  • Lot Description Level, Cleared

Financial Information

  • Zoning 1310

Additional Services

Internet Service Providers

Listing Information

Listing Provided Courtesy of Hearne Realty Group
Listing Agent David T. Hearne
The property listing data and information, or the Images, set forth herein were provided to MLS Property Information Network, Inc. from third party sources, including sellers, lessors, landlords and public records, and were compiled by MLS Property Information Network, Inc. The property listing data and information, and the Images, are for the personal, non commercial use of consumers having a good faith interest in purchasing, leasing or renting listed properties of the type displayed to them and may not be used for any purpose other than to identify prospective properties which such consumers may have a good faith interest in purchasing, leasing or renting. MLS Property Information Network, Inc. and its subscribers disclaim any and all representations and warranties as to the accuracy of the property listing data and information, or as to the accuracy of any of the Images, set forth herein.
Listing data is current as of 03/23/2026.

Contact Our Agent

By clicking “Submit”, you agree that Lake Homes Realty, its affiliates, and real estate professionals may contact you by phone, text, or email to any phone number and email address you provided, including by automated means, even if your number is on a federal, state, or our internal Do Not Call list. You also agree to our Terms of Use and Privacy Policy.