Lake Homes Realty
Enter City or Zip

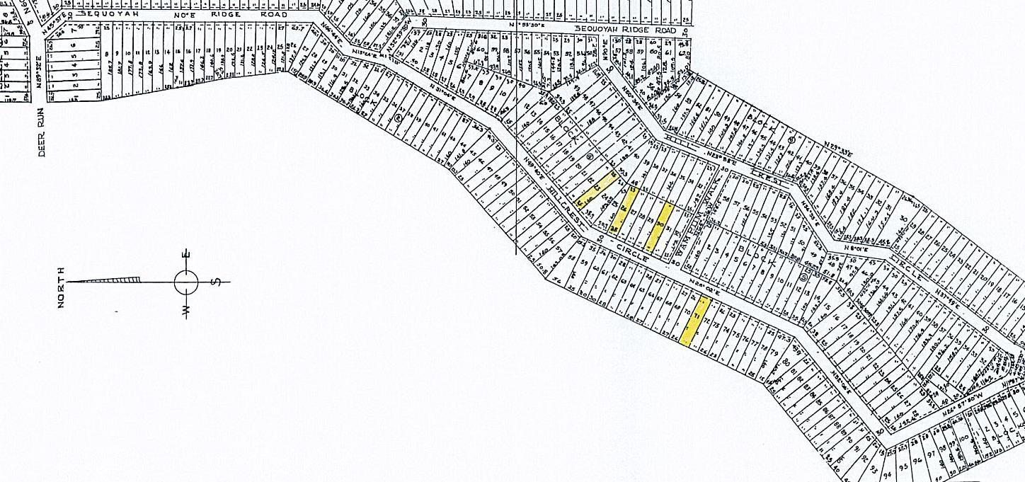
hillcrest circle

Cherokee Village, AR 72529

$7,900

0.07 AC LOT
Land - Subdivision Lot
New Listing
Image 0
Image 1
Image 2
Image 3
Acreage 0.08
Status Active
MLS # 25047942
County Sharp
More Info
Category Land - Subdivision Lot
Status Active
Acreage 0.08
MLS # 25047942
County Sharp
Five unrestricted lots located just outside the Cherokee Village city limits present a rare opportunity to secure multiple homesites in one of the Ozarks’ most established communities. Because these properties lie beyond the city boundaries, ownership does not include access to Cherokee Village amenities; however, the unrestricted status allows for uses not permitted within the city, such as camping, RVing, and other forms of outdoor recreation. This flexibility makes the package especially appealing for those seeking both investment potential and recreational freedom. Owning five lots together provides options for future development, resale, or simply holding for appreciation, while ensuring a larger footprint in the area. With utilities available nearby and the amenities of Cherokee Village just minutes away, this offering combines affordability with long-term value. Whether building now or holding for the future, these five unrestricted lots create a compelling opportunity to establish a lasting presence in a community that blends recreation, relaxation, and enduring appeal and NO SID FEES.
Location not available

Exterior Features

  • Garage No
  • Water Public
  • Sewer Septic Sbj Hlth Dpt Apprv
  • Lot Dimensions 3500 ea
  • Lot Description Wooded, In Subdivision, Unimproved

Neighborhood & Schools

  • Subdivision HILLCREST
  • Elementary School Cherokee
  • Middle School Highland
  • High School Highland

Financial Information

  • Parcel ID 260-00199-000
  • Zoning Single Family

Additional Services

Internet Service Providers

Listing Information

Listing Provided Courtesy of King-Rhodes & Associates, Inc.
IDX provided courtesy of Consolidated Arkansas Regional MLS via Lake Homes Realty
Listing data is current as of 12/13/2025.

Contact Our Agent

By clicking “Submit”, you agree that Lake Homes Realty, its affiliates, and real estate professionals may contact you by phone, text, or email to any phone number and email address you provided, including by automated means, even if your number is on a federal, state, or our internal Do Not Call list. You also agree to our Terms of Use and Privacy Policy.