Lake Homes Realty
Enter City, Zip or MLS

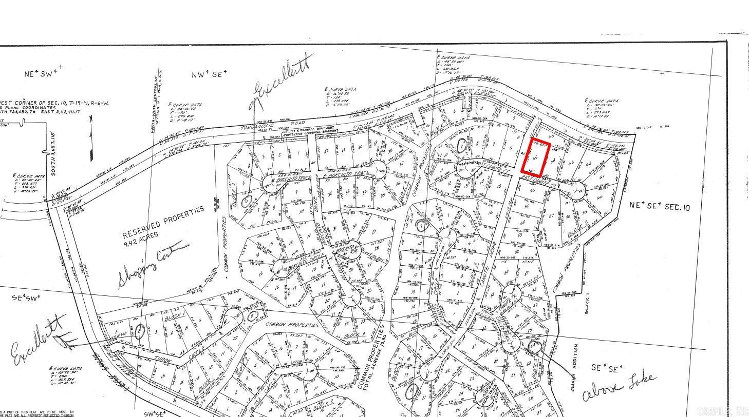
lot 65 canute drive

Cherokee Village, AR 72529

0.25 AC LOT
Land - Residential Lot
Image 1
Acreage 0.25
Status Off Market
MLS # 25026103
County Fulton
More Info
Category Land - Residential Lot
Status Off Market
Acreage 0.25
MLS # 25026103
County Fulton
Buy one lot and get 50% off an additional lot! Owner-finance for easy terms. Cash buyers can pay by debit or credit card as well. Nice lot to develop or hold for future value. Public water and electric are available to run to property and will need septic. Owner/agent. No mobiles allowed. 300-2500 minimum build size on any other type of home, depending on subdivision. Finance is $100 down and 10 months at $99 and closing costs are included. Lots marked with red banner are part of promotion. No limit on lots. Buyer responsible for any/all taxes and lots sold "as-is". Quit claim deed conveys. Parcel ID# 215-14338-000
Location not available

Exterior Features

  • Garage No
  • Lot Dimensions .25 Acres
  • Lot Description Level, Wooded, In Subdivision, Unimproved, River/Lake Area, Common to Golf Course, Common to Lake

Neighborhood & Schools

  • Subdivision Mescalero

Financial Information

  • Parcel ID 215-14338-000
  • Zoning Single Family

Listing Information

Properties displayed may be listed or sold by various participants in the MLS.