Lake Homes Realty
Enter City, Zip or MLS

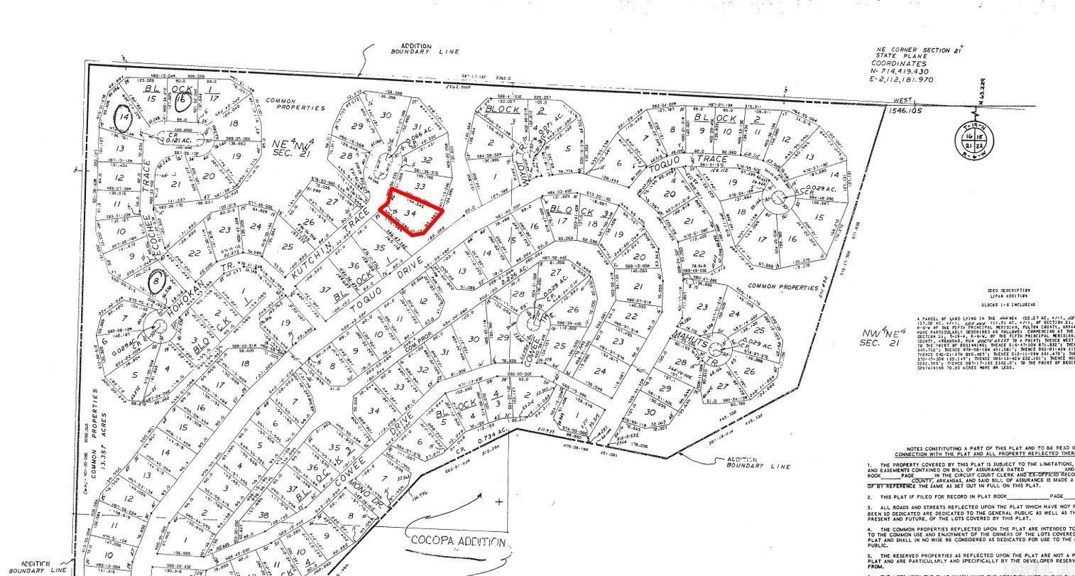
lot 34 toquo trace

Cherokee Village, AR 72529

0.25 AC LOT
Land - Residential Lot
Image 1
Acreage 0.25
Status Off Market
MLS # 25046759
County Fulton
More Info
Category Land - Residential Lot
Status Off Market
Acreage 0.25
MLS # 25046759
County Fulton
Owner-finance for easy terms. Cash buyers can pay by debit or credit card as well. Nice lot to develop or hold for future value. Public water and electric may be available to run to property and will need septic. Owner/agent. No mobiles allowed. 1000 minimum build size on any other type of home, depending on subdivision. Finance is $100 finance fee and 5 months at $145 and closing costs are included. Buyer responsible for any/all taxes and lots sold "as-is". Quit claim deed conveys. Parcel ID# 200-13748-000
Location not available

Exterior Features

  • Garage No
  • Lot Dimensions .25 Acres
  • Lot Description Resort Property, Wooded, In Subdivision, Unimproved, River/Lake Area, Common to Golf Course, Common to Lake

Neighborhood & Schools

  • Subdivision Lipan

Financial Information

  • Parcel ID 200-13748-000
  • Zoning Single Family

Listing Information

Properties displayed may be listed or sold by various participants in the MLS.