Lake Homes Realty
Enter City or Zip

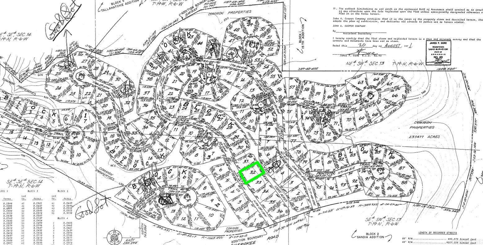
0 dineh circle

Cherokee Village, AR 72529

0.25 AC LOT
Land - Residential Lot
Image 1
Acreage 0.25
Status Off Market
MLS # 25003862
County Fulton
More Info
Category Land - Residential Lot
Status Off Market
Acreage 0.25
MLS # 25003862
County Fulton
Buy one lot and get 50% off an additional lot! Part of a set of adjoining lots available. Owner-finance for easy terms. Cash buyers can pay by debit or credit card as well. Nice lot to develop or hold for future value. Public water and electric are available to run to property and will need septic. Owner/agent. No mobiles allowed. 300-2500 minimum build size on any other type of home, depending on subdivision. Finance is 5 months at $257 and closing costs are included. Buyer responsible for any back, current and future taxes owed on this property. Lots marked with red banner are part of promotion. No limit on lots. Buyer responsible for any/all taxes and lots sold "as-is". Quit claim deed conveys. Parcel ID# 175-13053-000
Location not available

Exterior Features

  • Garage No
  • Lot Dimensions .25 Acres
  • Lot Description Level, Resort Property, Wooded, In Subdivision, Unimproved, River/Lake Area, Common to Golf Course, Common to Lake

Neighborhood & Schools

  • Subdivision Dineh

Financial Information

  • Parcel ID 175-13053-000
  • Zoning Single Family